$4,999,980

Investment For Sale In Esquimalt, British Columbia

$4,999,980

Property Information:

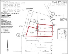
30,000 sq.ft. land assembly in Esquimalt core area designated "High Density Residential" in the 2018 Official Community Plan. The site comprises three legal lots with access from Admirals Road, Astle Street and Constance Avenue. The site is located at the doorstep of CFB Esquimalt (Naden) and a short walk to Esquimalt Town Centre. Thesite will offer ocean and mountain views from upper stories. Excellent access to arterial roads, transit and cycling infrastructure. 664 Admirals Road was recently rezoned by another property owner to permit a 12-story residential building. These three properties are being sold together for the published listing price: 656 Admirals Road - tenanted 13-suite residential apartment building; 1300 Astle Street - tenanted 5-suite residential building (non-conforming); 1312 Astle Street - tenanted 2-suite residential building.

Property Features:

  • Annual Tax Amount: $18,031
  • Lot Features: Central Location, Easy Access, Marina Nearby, Near Golf Course, Recreation Nearby, Shopping Nearby
  • Lot Frontage: 30000 Square Feet
  • Lot Size: 0.69 Acres
  • Ownership: Freehold
  • Parking Features: On Site
  • Property Sub Type: Multi Family
  • View: City, Mountain(s)
  • Water Source: Municipal
  • Zoning: RM-4
  • Sewer: Sewer To Lot

Courtesy of: Sutton Group West Coast Realty

MLS® property information is provided under copyright© by the Vancouver Island Real Estate Board and Victoria Real Estate Board. The information is from sources deemed reliable, but should not be relied upon without independent verification.